
患者,女,69岁。左股骨粗隆下骨折术后疼痛、活动受限1年半。2013年5月因"左侧股骨颈骨折"在我院行"左侧股骨颈空心钉内固定术",之后长期口服双膦酸盐,2016年3月再次摔伤导致"左侧股骨粗隆下骨折",于我院行"左股骨粗隆下骨折切复内固定术"术后左髋行走时疼痛,一直不能完全负重。
患者神志清,精神可,左大腿肌肉萎缩,髋关节旋转时疼痛,内外旋均轻度受限,左下肢纵向叩击痛阳性。
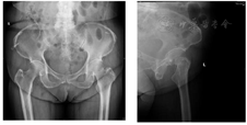
双髋关节正位片提示:左股骨粗隆下骨折内固定术后改变,原左侧股骨颈骨折线消失,左股骨粗隆下横行骨折线清晰,断端硬化,对位、对线可。内置物位置良好,无松动。
入院后完善检查,停用双膦酸盐,改用特立帕肽。在明确无手术禁忌证后,给予全身麻醉下行"左股骨粗隆下不典型骨折术后骨不连髂骨取骨植骨内固定术"。
患者在术后1年骨折临床愈合,左下肢行走疼痛消失。
骨科;老年医学;内分泌;全科医学
版权归中华医学会所有。本文为遵循CC-BY-NC-ND协议的开放获取文章。
股骨不典型骨折是指低能量损伤所导致的发生在股骨转子下或股骨干的骨折,与通常所见的"典型"骨折相比,具有特定的临床影像特征。随着双膦酸盐应用的普及,这类骨折越来越多,且治疗起来比较困难。现将我科收治的一例难治性股骨不典型骨折资料汇报如下:
患者,女,69岁,左股骨粗隆下骨折术后疼痛、活动受限1年半。2013年5月因左侧股骨颈骨折在我院行左侧股骨颈空心钉内固定术,之后长期口服双膦酸盐。术后出现空心钉松动退钉,于2016年1月将下方松动空心钉取出。2016年3月再次摔伤导致"左侧股骨粗隆下骨折",行"左侧股骨粗隆下骨折闭合复位髓内钉内固定术",术后1年半左髋行走时仍疼痛,一直不能完全负重。
既往高血压20年,口服络合喜、科素亚等降压药控制血压,血压尚可。2006年因胸椎管狭窄在外院行胸椎后路减压术,治疗效果不甚满意,2007年再次于我院行胸椎前路减压内固定术,术后恢复尚可。2016年因腰椎间盘突出症在外院行椎间孔镜手术。否认糖尿病等其他慢性病史,否认肝炎、结核等传染病史,否认食物、药物过敏史。患者生于原籍,无疫水、疫区接触史,无烟酒等不良生活嗜好;家族史:否认家族性遗传病史。
入院查体:患者神志清,精神可,发育正常,营养良好,跛行步态,拄拐步入病房。左髋外侧可见长6 cm手术瘢痕,双下肢等长。左髋关节屈曲100°,内外旋时伴有疼痛,旋转轻度受限。左下肢纵向叩击痛阳性。影像学检查:
1.2013年5月双髋关节正侧位X线片显示左侧股骨颈骨折,GardenII型(图1)。


2.2015年12月双髋关节正侧位片显示左侧股骨颈骨折已愈合,发生颈吸收、颈短缩,空心钉退钉(图2)。


3.2016年3月 患者取出一枚空心钉后,再次跌倒,发生左侧股骨粗隆下骨折。在骨折远端边缘有鸟嘴样皮质增厚改变,此为股骨不典型骨折的特征表现(图3)。


4.2016年3月双髋关节正侧位X线片 行左侧股骨粗隆下骨折闭合复位髓内针内固定术,骨折断端复位欠佳,骨折断端仍有间隙(图4)


5.2017年9月双髋关节正侧位片X线片 显示左侧股骨粗隆下骨折术后1年半,侧位片仍可见清晰骨折线,正位片提示内侧皮质鸟嘴样改变更为明显(图5)。


骨密度测量 2013年5月,股骨颈处T值=-2;2016年3月,股骨颈处T值=-1.6。
左侧股骨不典型骨折;左侧股骨粗隆下骨折骨不连;左侧股骨颈骨折术后;重度骨质疏松症。
诊断依据:
(1)骨不连诊断的依据左侧股骨粗隆下骨折术后1年半,行走时疼痛明显,查体骨折断端处仍有叩击痛,影像学上骨折线仍清晰可见,连续随访未见任何骨折愈合进展迹象。
(2)不典型骨折的依据患者自从2013年股骨颈骨折后长期服用双膦酸盐病史,在粗隆下骨折骨折断端处可见到明显皮质增厚,典型的"鸟嘴样"外观。
骨不连区分肥大性骨不连、萎缩性骨不连及感染性骨不连。
(1)根据患者无发热,无局部红肿等,检验指标血常规、血沉及C反应蛋白等都无异常改变,可排除感染性骨不连;(2)根据患者病史及影像学所见,股骨不典型骨折特点是骨代谢减慢,成骨和破骨都受到抑制,影像学上可见基本上无骨痂生成,因此本例骨不连性质为萎缩性骨不连。
入院后完善检查,明确无手术禁忌证后,给予全身麻醉下行"左股骨粗隆下骨折骨不连髂骨取骨植骨内固定术"。手术方法:患者取仰卧位,左侧臀部垫高,常规消毒铺巾。沿原切口切开并适当延长,依次切开皮肤、皮下组织及深筋膜,钝性分离股外侧肌,显露并探查骨折断端,可见骨赘增生,骨折间隙纤维软组织充填。清除骨折间隙瘢痕组织,髂骨取骨修剪成颗粒骨充填,应用7孔锁定接骨板加强固定。手术时间2小时,出血约200 ml。术后安返病房。交待患者停用双膦酸盐,改用特立帕肽,20μg/支,每日一次,每次一支,皮下注射。患者在术后1年实现骨折临床愈合。


患者常规在术后1、3、6及12个月共随访四次,在术后第12个月骨折临床愈合,左髋行走后不再疼痛,实现完全负重行走。


双膦酸盐治疗骨质疏松已经被列入治疗骨质疏松相关指南之中[1,2]。双膦酸盐在吸收后,通过与骨的无机质成分结合,被破骨细胞吞噬后,诱导破骨细胞凋亡,抑制骨吸收,其半衰期在5~10年之间[3,4]。双膦酸盐长期应用后,会导致骨重建异常,造成骨质量下降,骨的微小损伤得不到及时修复,在应力比较高的部位就会导致应力性骨折的发生。股骨粗隆下部位股骨外侧皮质承受较大的张力,因此股骨不典型骨折多发生在此。
长期使用双膦酸盐发生股骨不典型骨折是少见的,临床报道的发病率在从万分之2.3到千分之一不等[5,6]。此类骨折往往是低能量损伤引起,患者通常至少接受了3~5年的双膦酸盐治疗,最开始的表现往往为大腿根或腹股沟处的慢性疼痛。2010年美国骨矿盐研究学会发布的股骨骨折非典型性诊断标准,其要点是横行或短斜行骨折,非粉碎性,发生于小转子以下的股骨干部位,影像学上特点包括外侧骨皮质局限性骨膜反应(鸟嘴样外观)和广泛的股骨干皮质增厚,但有时这些变化微小而不易察觉。这例患者均符合上述的特征。
对股骨不典型骨折治疗的有效手术方法是髓内针治疗。文献报道,对于股骨不典型骨折的治疗,大约12.6%的患者需要进行再次翻修手术,这要远远高于股骨典型骨折的患者[7]。究其原因,这与应用双膦酸盐后患者骨修复的能力下降有关。对于本例患者,在进行翻修手术时才意识到了是不典型骨折,此时让患者停用双膦酸盐,改用了促进成骨的特立帕肽。对于长期应用双膦酸盐治疗骨质疏松的患者,一旦出现了股骨不典型骨折的征象时,要充分考虑双膦酸盐的"药物假期"[8],通过对骨密度的测量,患者综合情况的评价,是单纯停用双膦酸盐,还是加用特立帕肽。
所有作者均声明本研究不存在利益冲突





















